Nieruchomości

 

                                                                 

1 października 2025

Licytacja nieruchomości zabudowanej domem jednorodzinnym w trybie przetargu elektronicznego Km 840/24

OBWIESZCZENIE O SPRZEDAŻY NIERUCHOMOŚCI W DRODZE LICYTACJI ELEKTRONICZNEJ

Komornik Sądowy przy Sądzie Rejonowym w Jędrzejowie Marcin Fatyga   podaje do publicznej wiadomości, że w dniu 2025-10-01 r. o godz. 09:00, rozpocznie się pierwsza licytacja  elektroniczna nieruchomości:

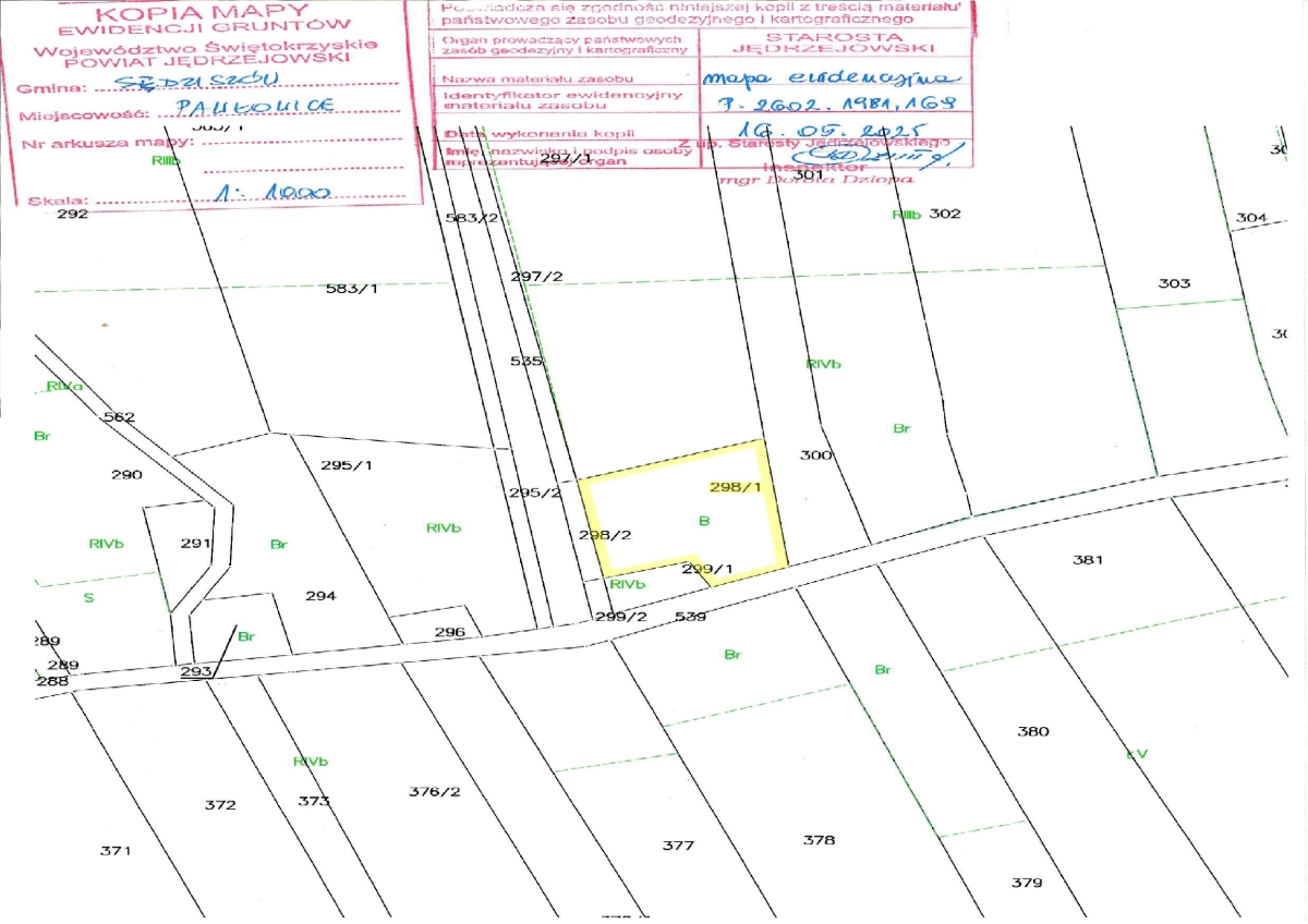
Działka gruntu nr 298/1 o pow. 0,11 ha , położonej w miejscowości 38-340 Pawłowice 27, zabudowana budynkiem mieszkalnym jednorodzinnym oraz zabudowaniami gospodarczymi, dla której prowadzona jest księga wieczysta nr KI1J/00031984/2 przez Wydział Ksiąg Wieczystych Sądu Rejonowego w Jędrzejów.

Licytacja zakończy się w dniu 2025-10-08 o godzinie 14:00.
Nieruchomość oszacowana jest na kwotę  220 730,00 zł. Cena wywołania wynosi trzy czwarte sumy oszacowania i wynosi 165 547,50 zł

Licytant przystępujący do przetargu powinien złożyć rękojmię w wysokości 1/10 sumy oszacowania to jest 22 073,00 zł.
Nieruchomość można oglądać w ciągu dwóch tygodni przed licytacją w godzinach od 10.00 do 14.00.
Sprzedaż w drodze licytacji elektronicznej jest dokonywana za pośrednictwem systemu teleinformatycznego dostępnego pod adresem: https://elicytacje.komornik.pl/.  

Przystąpienie do przetargu wymaga zgłoszenia przystąpienia w systemie teleinformatycznym obsługującym licytacje elektroniczne dostępnym pod adresem www.elicytacje.komornik.pl na 2 dni robocze przed rozpoczęciem przetargu. warunkiem udziału w przetargu jest utworzenie indywidualnego konta w systemie teleinformatycznym.

Rękojmię należy złożyć na rachunek bankowy komornika 03 1020 2629 0000 9202 0269 8736 najpóźniej na 2 dni robocze przed rozpoczęciem przetargu. za datę złożenia rękojmi przyjmuje się dzień uznania rachunku bankowego komornika. Przepisu art. 964 kpc nie stosuje się. Wraz z rękojmią licytant zobowiązany jest do podania w systemie teleinformatycznym danych niezbędnych do wydania postanowienia o przybiciu: numeru pesel, numeru dokumentu stwierdzającego tożsamość i oświadczenia, czy pozostaje w związku małżeńskim, a jeżeli tak, czy nieruchomość zamierza nabyć do majątku wspólnego czy osobistego, oraz do wskazania, czy licytuje we własnym imieniu czy jako pełnomocnik innej osoby, a także innych danych, jeżeli potrzeba ich podania wynika z przepisów odrębnych ustaw.
W razie potrzeby komornik niezwłocznie wzywa licytanta, pod rygorem niedopuszczenia do udziału w przetargu, za pośrednictwem systemu teleinformatycznego do uzupełnienia danych, a jeżeli udział w przetargu wymaga zezwolenia organu władzy publicznej lub wykazania umocowania do występowania w imieniu innej osoby - do przedłożenia utrwalonych w postaci elektronicznej kopii wymaganych dokumentów w terminie 3 dni, nie później niż dzień przed terminem licytacji.
Komornik potwierdza fakt złożenia rękojmi i podania danych niezwłocznie po ich otrzymaniu, poprzez dopuszczenie licytanta do udziału w przetargu. o odmowie dopuszczenia do przetargu zawiadamia się zainteresowanego za pośrednictwem systemu teleinformatycznego.
Przetarg rozpoczyna się i kończy z chwilą wskazaną w obwieszczeniu o licytacji nieruchomości. jeżeli w ciągu 5 minut przed planowanym terminem zakończenia przetargu zgłoszono postąpienie, termin ten ulega odroczeniu o 5 minut. jeżeli w dodatkowym czasie zgłoszono dalsze postąpienie, termin zakończenia przetargu podlega każdorazowo odroczeniu o kolejne 5 minut, aż do momentu gdy ustaną postąpienia.
W toku przetargu licytanci ofiarują cenę nabycia za pośrednictwem systemu teleinformatycznego. Przetarg wygrywa licytant, którego oferta była w chwili zakończenia przetargu najwyższa.
Po zakończeniu przetargu komornik za pośrednictwem systemu teleinformatycznego informuje licytantów o wyłonieniu licytanta ofiarującego najwyższą cenę w chwili zakończenia przetargu. Skargę na odmowę dopuszczenia do przetargu można złożyć w terminie 3 dni od dnia odmowy dopuszczenia do przetargu, a na przebieg przetargu - w terminie 3 dni od dnia jego zakończenia.
Licytanci i osoby, których nie dopuszczono do przetargu, mogą złożyć skargę wyłącznie za pośrednictwem systemu teleinformatycznego. skargę za pośrednictwem systemu teleinformatycznego mogą złożyć także inne osoby, o ile posiadają w tym systemie konto.
Prawa osób trzecich nie będą przeszkodą do licytacji i przysądzenia własności na rzecz nabywcy bez zastrzeżeń, jeżeli osoby te przed rozpoczęciem przetargu nie złożą dowodu, iż wniosły powództwo o zwolnienie nieruchomości lub przedmiotów razem z nią zajętych od egzekucji i uzyskały w tym zakresie orzeczenie wstrzymujące egzekucję. użytkowanie, służebności i prawa dożywotnika, jeżeli nie są ujawnione w księdze wieczystej lub przez złożenie dokumentu do zbioru dokumentów i nie zostaną zgłoszone najpóźniej na trzy dni przed rozpoczęciem licytacji, nie będą uwzględnione w dalszym toku egzekucji i wygasną z chwilą uprawomocnienia się postanowienia o przysądzeniu własności.

 

Komornik Sądowy 

Marcin Fatyga

 

 


powrót ››


 

Kontakt do Kancelarii


Komornik Sądowy przy Sądzie Rejonowym w Jędrzejowie
Marcin Fatyga
ul. Parkowa 1/47
28-300 Jędrzejów

T: 41 20-10-898;

T. kom.: 664 704 649;

E: biuro@komornikjedrzejow.pl

Godziny pracy:

Poniedziałek: 8:00 - 16:00
Wtorek: 8:00 - 16:00
Środa: 8:00 - 16:00
Czwartek: 8:00 - 16:00
Piątek: 8:00 - 16:00